

現地画像です

現地画像です

現地画像です

現地画像です

建築施工例です

建築施工例です

建築施工例です

建築施工例です

建築施工例です

建築施工例です

建築施工例です

建築施工例です

建築施工例です

建築施工例です

建築施工例です
建築条件なし土地平塚市上平塚
| 所在地 | 平塚市上平塚 | ||
|---|---|---|---|
| 交通 | JR東海道本線「平塚」駅 バス9分「上平塚」停歩2分 | ||
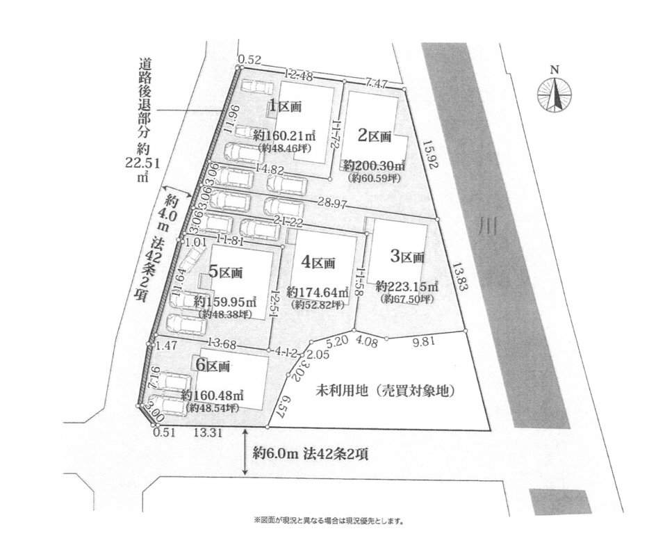
| 土地面積 | 156.77㎡ | ||
| 用途地域 | 第一種住居地域 | ||
| 建ぺ/容積 | 60% / 200% | ||
| 建築条件 | 建築条件なし | ||
ポイント
建築条件ございません。お好きなハウスメーカーで建築できます!
南道路につき日当たり良好!敷地面積約42坪超の整形地です!
【頭金なしで住宅ローン組めます!】
〇借入があっても審査可能!家具家電含めたローン審査も可能です。
〇24時間サポート メール・LINEで24時間対応。
○資料請求無料!販売資料の提供と内覧予約が可能です。
〇他の物件と併せてのご案内もOK!
〇ご自宅や指定場所から無料送迎もOK!
〇店舗前面はガラス張りで明るく開放的な接客スペースキッズスペースもあり子様連れでも安心。
〇外からは見えない場所にも個別相談ができる商談スペースもございます!
○年収、勤続年数、ご年齢などによって条件が異なりますので、
お話を伺った上で物件やローンについてより良いご提案をさせていただきます!
お電話でのお問い合わせ
物件詳細情報
| 所在地 | 平塚市上平塚 | ||
|---|---|---|---|
| 交通 | JR東海道本線「平塚」駅 バス9分「上平塚」停歩2分 | ||
| 価格 | 1,730万円【値下がり額120万円】 | ||
| 物件番号 | 57479 | 物件種別 | 建築条件なし土地 | 
| 権利形態 | 所有権 | 都市計画 | 市街化区域 | 
| 地目 | 宅地 | 用途地域 | 第一種住居地域 | 
| 建ぺい率 | 60% | 容積率 | 200% | 
| 建築条件 | 建築条件なし | 現況 | 更地 | 
| 引渡し時期 | 相談 | 取引態様 | 専任媒介 | 
| 小学区 | 平塚市立富士見小学校 ※1 | 中学区 | 平塚市立春日野中学校 ※1 | 
※1 実際の通学区域とは異なる場合がありますので必ず各学校毎の通学区域住所をご確認ください。
ローンシミュレーション
この物件を購入した場合の月々の返済額を試算します
価格
1,730万円(税込)
※ローンシミュレーションは、あくまで試算であり、実際のご返戻額とは異なる場合があります。
- 
										
- 
												
返済期間
年

 - 
												
金利
%

 - 
												
ボーナス時の増額(1回分)
円

 
 - 
												
 - 
										
- 
												
借入金額
万円 - 
												
頭金
万円

 
 - 
												
 
毎月の返済額60,752円 / 月
									







